محافظة القاهرة تعتمد تعديل تخطيط الجزء الجنوبي من مشروع الأسمرات
نشرت الجريدة الرسمية في عددها الصادر، منذ قليل، قرار محافظ القاهرة بشأن تعديل تخطيط الجزء الجنوبي من مشروع الأسمرات المعتمد بقرار المحافظ رقم 919 لسنة 2016 طبقًا لما تم تنفيذه بالطبيعة.
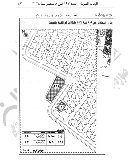
تعديل تخطيط الجزء الجنوبي من مشروع الأسمرات
وقالت الجريدة الرسمية، إن ذلك جاء بعد الاطلاع على القانون رقم 43 لسنة 1979 بشأن نظام الإدارة المحلية ولائحته التنفيذية وتعديلاته، وعلى القانون رقم 119 لسنة 2008 ولائحته التنفيذية، وبناء على صورة كتاب اللواء مدير مكتب رئيس الجمهورية رقم 10115 بتاريخ 18-9-2023، وبناء على صورة كتاب أمين عام مجلس الوزراء بتاريخ 24-9-2023 بشأن التوجيهات الرئاسية الصادرة خلال تفقدات منطقة شرق القاهرة والمتضمنة سرعة الانتهاء من تنفيذ المجمع الصناعي لخدمة أهالي منطقة الأسمرات مع سرعة الانتهاء من إجراءات نهى التراخيص طبقًا للتوجيهات الصادرة بذلك.
وأضافت الجريدة الرسمية، أن المادة الأولى تضمن اعتماد مشروع تعديل تخطيط الجزء الجنوبي من مشروع الأسمرات المعتمد بقرار المحافظ 919 لسنة 2016 طبقًا لما تم تنفيذه بالطبيعة وفقًا لما يلي:
- اعتماد الطرق المنفذة بالطبيعة وإلغاء المتعارض معها.
- اعتماد استخدام قطع الأراضي المحدد دائرتها باللون البنفسجي كمصانع غير مقلقة للراحة وغير ملوثة للبيئة، وإلغاء الاستخدامات المتعارضة معها.
- المسطحات والاشتراطات الخاصة بكل قطعة طبقًا لما هو مبين بالجدول الموضح بالرسم.
- الالتزام بأخذ موافقة الجهات المعنية بالاستخدام ومراعاة الاشتراطات الخاصة بكل جهة عند استصدار التراخيص.


