الخميس 11 ديسمبر 2025
More forecasts:
Wetter 4 wochen
facebook
twitter
youtube
instagram
Threads
rss feed
رئيس التحرير
محمود المملوك
رئيس التحرير
محمود المملوك
الرئيسية
أخبار
حوادث
اقتصاد
فن
رياضة
سياسة
محافظات
ثقافة
مقالات
المزيد
البحث
أخبار
حوادث
رياضة
فن
سياسة
اقتصاد
محافظات
عاجل
موعد مباراة المغرب وسوريا في ربع نهائي كأس العرب 2025
سعر الدرهم الإماراتي اليوم الخميس 11 ديسمبر 2025 في عدد من البنوك
الرئيسية
هونج كونج صفحة 2
هونج كونج صفحة 2
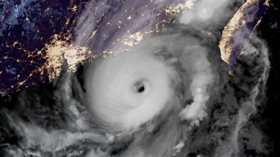
إعصار كوينو يتجه نحو هونج كونج
الإثنين 02/10/2023 05:30 ص
وزير المالية: لابد من تكاتف جميع الدول لتجاوز التحديات العالمية.. وتحقيق المزيد من العدالة الاقتصادية
الإثنين 25/09/2023 12:37 م
رئيس البورصة يبحث تعزيز التعاون مع وزير الخدمات المالية والخزانة بهونج كونج
السبت 23/09/2023 03:44 م
وزيرة التعاون الدولي تدعو المستثمرين بهونج كونج للتعرف على الفرص الاستثمارية المتاحة بمصر
السبت 16/09/2023 07:30 م
وزيرة التعاون بقمة الحزام والطريق: العلاقات المصرية - الصينية تمر بمرحلة تحول تاريخية
الأربعاء 13/09/2023 02:51 م
إجلاء 900 ألف شخص من جنوب الصين بسبب إعصار سولا المدمر
السبت 02/09/2023 02:03 م
إجلاء نحو 800 ألف شخص وإغلاق الشركات.. الصين تستعد لاستقبال إعصار ساولا
الجمعة 01/09/2023 06:20 م
الإعصار ساولا يجبر هونج كونج على إلغاء رحلات جوية وإغلاق مدارس وأنشطة عامة
الجمعة 01/09/2023 09:50 ص
غلق مدارس هونج كونج بالصين اليوم بسبب الإعصار ساولا
الجمعة 01/09/2023 03:11 ص
بسبب المياه المشعة.. هونج كونج تحظر المنتجات البحرية اليابانية
الثلاثاء 11/07/2023 04:18 م
كيف فقدت مدينة بورسعيد فرصة اللحاق بـ هونج كونج؟.. وزير سابق يوضح
الجمعة 02/06/2023 06:58 م
رئيس هيئة قناة السويس: فرق الإنقاذ البحري تعاملت باحترافية مع عطل طارئ لماكينات سفينة بضائع
الخميس 25/05/2023 08:41 ص
من طراز باتيك فيليب.. بيع ساعة إمبراطور صيني بـ 6.2 مليون دولار في مزاد علني
الثلاثاء 23/05/2023 09:42 م
قنصل مصر العام يلتقي الرئيس التنفيذي لإقليم هونج كونج
السبت 06/05/2023 10:30 ص
بينهم طلاب.. إصابة 87 شخصًا في تصادم حافلات بهونج كونج بالصين | صور
الجمعة 24/03/2023 04:04 م
هونج كونج تلغي ارتداء الكمامات بداية من الغد
الثلاثاء 28/02/2023 10:30 ص
انتشار حمى الخنازير الإفريقية في هونج كونج
الإثنين 13/02/2023 10:09 م
هبوط أسعار النفط في بداية تعاملات اليوم مع ترقب إعادة تشغيل اقتصاد الصين
الإثنين 23/01/2023 10:48 ص
الصين وهونج كونج تستأنفان عمل خط السكك الحديدية بعد توقفه بسبب انتشار كورونا
الأحد 15/01/2023 09:58 ص
هونج كونج تطلق حملات التطعيم ضد فيروس كورونا بلقاحات مرنا المرسال
الخميس 12/01/2023 08:01 م
هونج كونج تلغي اختبارات فيروس كورونا للوافدين
الأربعاء 28/12/2022 03:47 م
رغم ارتفاع إصابات فيروس كورونا.. هونج كونج تعيد فتح حدود الصين
السبت 24/12/2022 09:04 م
هونج كونج توافق على استخدام لقاح بيونتك للأطفال ضد فيروس كورونا
الأربعاء 12/10/2022 12:05 م
الصحة الصينية: هونج كونج في حالة تأهب لمتغيرات أوميكرون
السبت 08/10/2022 04:49 م
بعد إغلاق لمدة عامين.. هونج كونج تعلن إنهاء الحجر الصحي الإلزامي لـ كورونا على المسافرين
السبت 24/09/2022 12:02 م
هونج كونج: تغيير سياسة الحجر الصحي لفيروس كورونا
الثلاثاء 20/09/2022 12:17 م
بعد تسجيل أول حالة.. هونج كونج تنفذ أول خطة من 3 مستويات لمنع تفشي جدري القرود
الثلاثاء 06/09/2022 07:21 م
اكتشاف أول إصابة بجدري القرود في هونج كونج.. ومسئولون: الخطر مازال منخفضًا
الثلاثاء 06/09/2022 03:38 م
هونج كونج تتجاوز 10 آلاف إصابة جديدة بفيروس كورونا
الخميس 01/09/2022 12:48 م
المصابون في حالة حرجة.. سقوط شاشة عملاقة على المسرح بحفل غنائي في هونج كونج | فيديو
الجمعة 29/07/2022 02:22 م
1
2
3
4
5
النتيجة كارثية.. آراء جماهير كرة القدم في منتخب مصر بعد الخروج من كأس العرب| فيديو
12:56 ص
نفسه يلعب ويتحرك زي زمايله.. والد الصغير أمير مريض ضمور العضلات يستغيث لعلاجه| فيديو
12:22 ص
شقيق محمد رحيم في ذكرى رحيله: وفاة شقيقي قسمت ضهري.. وزعلت عليه أكتر من وفاة والدي ووالدتي| بث مباشر
11:31 م
المزيد من
الأكثر مشاهدة
مشاهدة مباراة ريال مدريد ومانشستر سيتي بث مباشر والقنوات الناقلة في دوري أبطال أوروبا
مشاهدة مباراة باريس سان جيرمان وأتلتيك بيلباو بث مباشر والقنوات الناقلة في دوري أبطال أوروبا
القنوات الناقلة لمباراة ريال مدريد ومانشستر سيتي في دوري أبطال أوروبا.. اعرف موعد مشاهدة القمة
البنك الأهلي يكتسح بيراميدز بسداسية.. وفاركو يخطف فوزا مثيرا من المقاولون العرب
ضربة البداية.. موعد مباراة الأهلي القادمة في كأس عاصمة مصر 2025/2026
لقاء حماسي.. مشاهدة مباراة السودان والبحرين بث مباشر والقنوات الناقلة في كأس العرب
ما هي العاصفة بايرون؟.. وهل تضرب مصر الأيام المقبلة؟
قالوا له دور برد وهتخف.. محافظ بني سويف يحيل واقعة وفاة الطالب أدهم للنيابة ويعزل مديرة المدرسة
الرئيسية
أخبار
حوادث
اقتصاد
فن
رياضة
سياسة
محافظات
ثقافة
مقالات
فيديو
صحة وطب
البومات الصور
تقارير وتحقيقات
كايرو لايت
دين وفتوى
تعليم
سيارات
خدمات
facebook
twitter
youtube
instagram
Threads
rss feed